TGW
Guatevision
DCA
Prensa Libre
Canal Antigua
La Hora
Sonora
Al Día
Emisoras Unidas
AGN
Huracán Beryl: ¿Por qué es tan inusual este fenómeno?
El huracán Beryl, el primero de lo que promete ser una temporada extraordinaria en el Atlántico Norte, ya ha dejado asombrados a los científicos al aumentar de intensidad tan rápidamente y al hacerse muy potente tan pronto en el año.
Enlace generado
Resumen Automático

El huracán Beryl, el primero de lo que promete ser una temporada extraordinaria en el Atlántico Norte, ya ha dejado asombrados a los científicos al aumentar de intensidad tan rápidamente y al hacerse muy potente tan pronto en el año.
A pesar de haber batido varios récords, también está demostrando ser el ejemplo perfecto de lo que los expertos predicen que será más probable como consecuencia del cambio climático.
He aquí las principales características de este huracán y la causa principal de ellas: un océano mucho más cálido de lo normal.
Formado lejos de las costas
Beryl se formó el viernes 28 de junio en el sureste de las Antillas y se convirtió pronto en un huracán de categoría 1 el sábado 29.
Su formación fue “mucho más al este del Atlántico de lo que es habitual en esta época del año”, explica a la AFP Andra Garner, climatóloga de la Universidad de Rowan.
Este fenómeno está vinculado, según ella, a la temperatura actual del océano Atlántico, que no suele ser lo bastante cálida en estas zonas en esta época del año como para permitir la formación de una tormenta de este tipo.
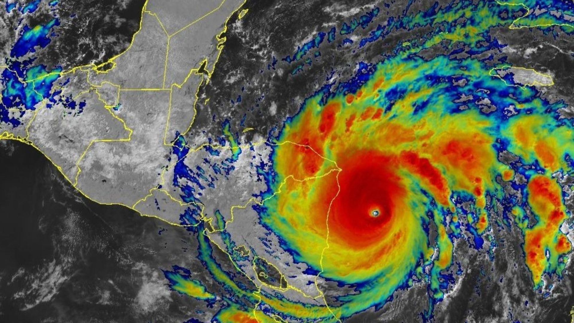
El Huracán Beryl visto en el mundo
Rápida intensificación
El huracán Beryl se intensificó muy rápidamente, en menos de un día, hasta convertirse en un importante huracán de categoría 4.
“Es difícil expresar con palabras lo increíble que es esto”, comenta Brian McNoldy.
Pero, aunque sea “sorprendente ver este fenómeno ante nuestros ojos”, también está “en línea con lo que la ciencia nos dice que podemos esperar de un mundo más cálido”, señala Andra Garner, que ha publicado un estudio sobre este fenómeno de intensificación.
“En los últimos 50 años, hemos comprobado que los huracanes tienen ahora más del doble de probabilidades de pasar de una tormenta relativamente débil -de categoría 1 o inferior- a un huracán mayor, de categoría 3 o superior, en el espacio de 24 horas”, explica. “Eso es lo que hizo Beryl”.

El paso de Beryl por el Caribe ha generando preocupación por la mayor potencia que puede tener un ciclón (la categoría 5) en una etapa tan temprana en la temporada de huracanes del Atlántico, algo que es visto como un “alarmante precedente”.
(Foto Prensa Libre: EFE/Matthew Dominick/NASA)
El más potente tan pronto
Beryl pasó a categoría 4 el domingo 30 de junio, último día de junio. Nunca se había registrado un huracán de esta categoría en ese mes.
El lunes 1 de julio, alcanzó la categoría 5, la más alta, batiendo en dos semanas el récord del huracán de esta categoría más precoz de la temporada, según los expertos.
La temporada de huracanes se extiende desde principios de junio hasta finales de noviembre en el Atlántico Norte. Pero según la Administración Nacional Oceánica y Atmosférica estadounidense (NOAA), los primeros huracanes importantes (de categoría 3 o superior) suelen empezar a formarse a finales de agosto o principios de septiembre.
Lea también en este especial
El culpable: un Atlántico sobrecalentado
El mayor motivo de lo que vemos con Beryl es la temperatura de las aguas del océano Atlántico, que lleva más de un año a niveles récord.
“Cuando nos levantamos por la mañana, tomamos una taza de café con cafeína para ponernos en marcha”, compara Andra Garner. “Las aguas cálidas de un huracán son un poco como la cafeína de nuestro café, permiten que la tormenta se ponga en marcha y coja fuerza”.
Las aguas del Atlántico Norte, así como las del Caribe y el Golfo de México, están actualmente entre 1°C y 3°C por encima de lo normal, según la NOAA. Las temperaturas de mayo ya se acercaban a las previstas para agosto.
For #TimelapseTuesday, this #GeoColor imagery from @NOAA's #GOESEast satellite shows the first 4-days of #Beryl, when the storm grew from a tropical cyclone in the western Atlantic Ocean to a category 5 hurricane in the Caribbean Sea.
— NOAA Satellites (@NOAASatellites) July 2, 2024
More on #HurricaneBeryl:… pic.twitter.com/sWSLLUUKNe
Así pues, aunque Beryl “no tenga precedentes”, “no puedo decir que sea inesperado desde un punto de vista científico”, subraya la experta.















